Na film

Re: Na film

Příspěvekod **lasta » 27 led 2021 19:30

Tak nevím.
Je to foto na film , analog nebo digitál..?
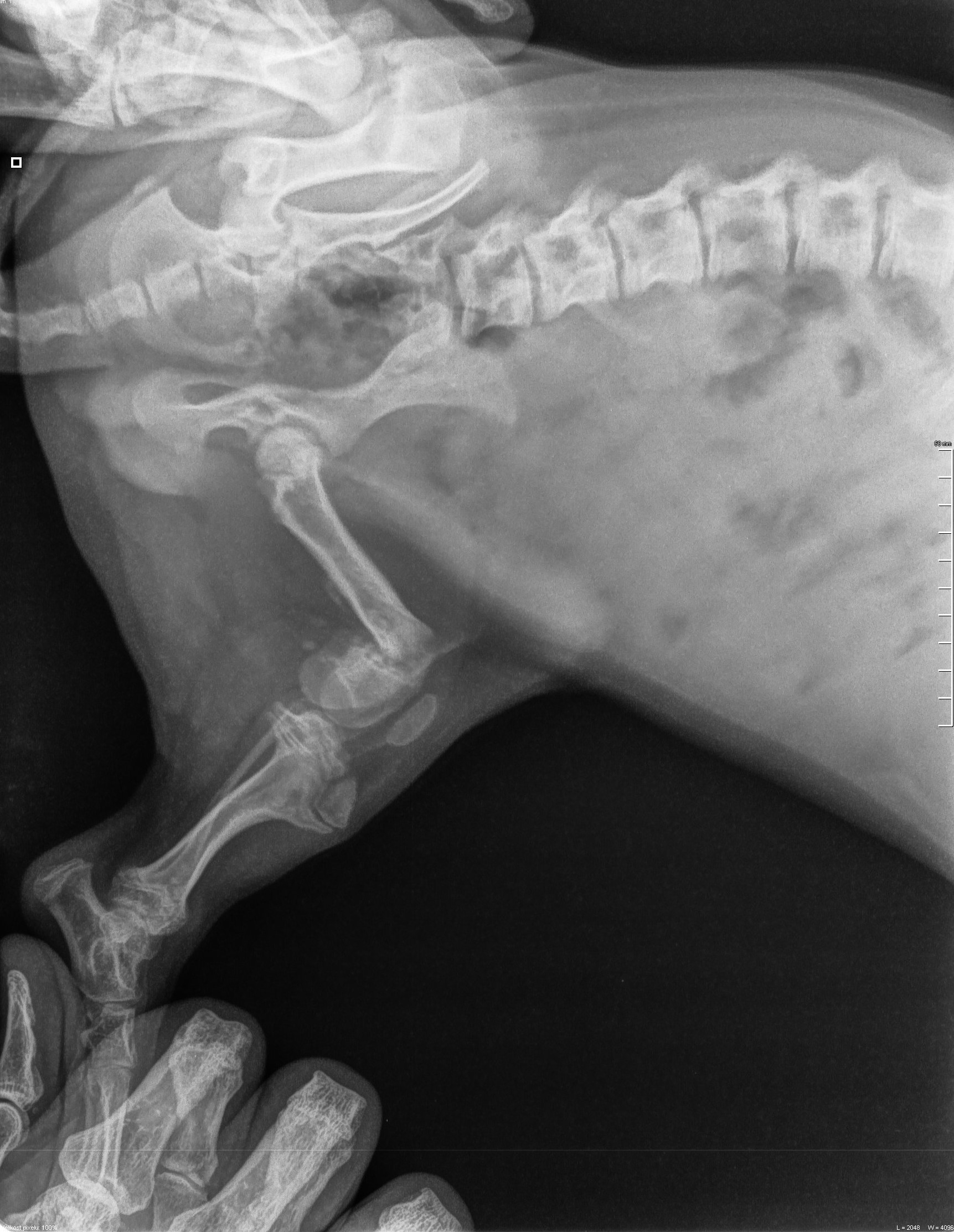
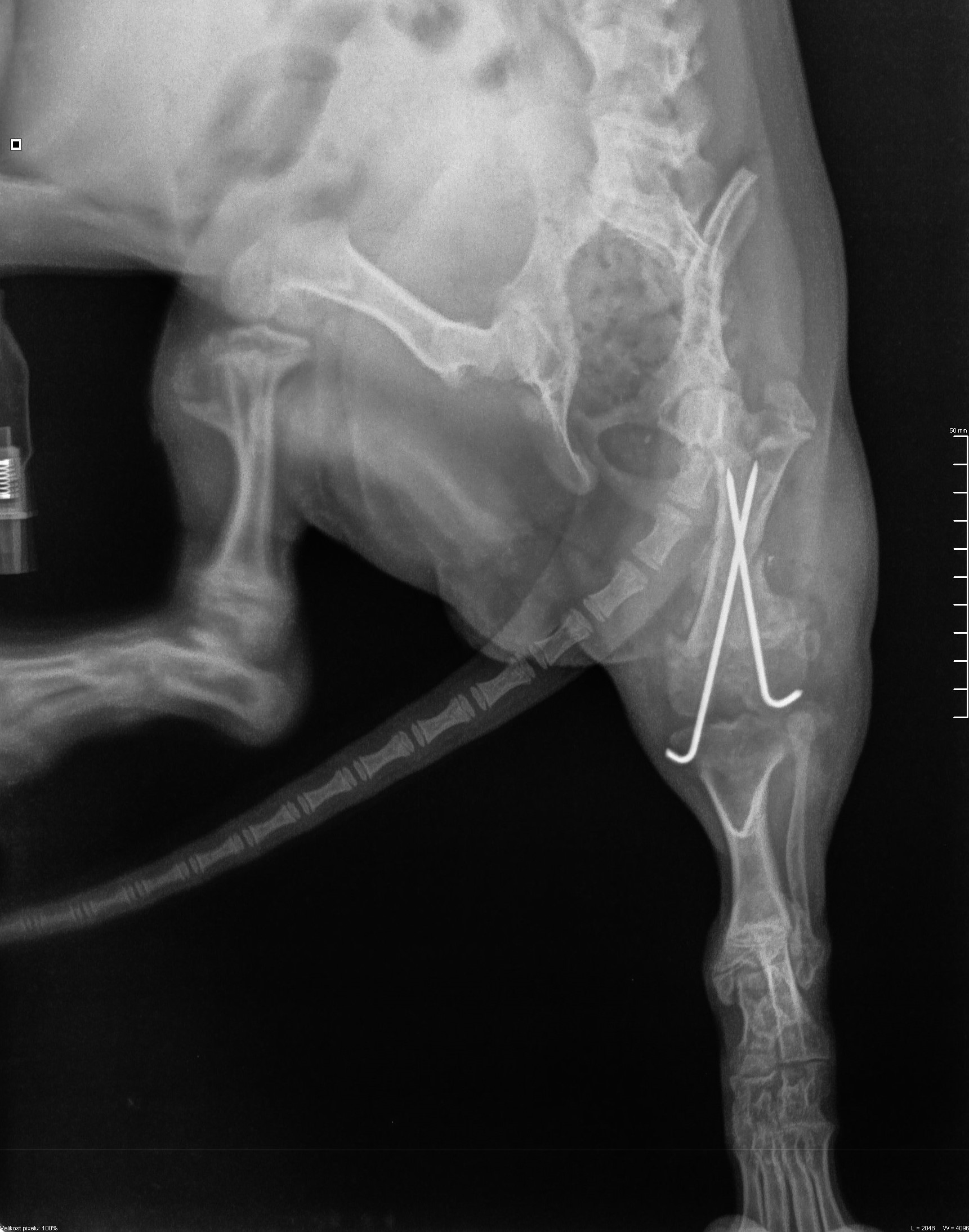
Přílohy
Úraz Bond.jpg
Úraz Bond.jpg (687.72 KiB) Zobrazeno 4324 krát
Uraz Bond Lecba.jpg
Uraz Bond Lecba.jpg (534.1 KiB) Zobrazeno 4324 krát
**lasta
 
Příspěvky: 4654
Registrován: 06 pro 2011 08:48

Re: Na film

Příspěvekod Stanley 900 » 27 led 2021 20:12

CHS 100 II je super. (n)
Mám nabilo v kazetách 4x5" Kodak T-Max 100, tak jsem zvědavý na detaily. :-)
Naposledy upravil Stanley 900 dne 29 led 2021 20:28, celkově upraveno 1
Uživatelský avatar
Stanley 900
 
Příspěvky: 9021
Registrován: 22 čer 2012 12:49

Re: Na film

Příspěvekod Stanley 900 » 27 led 2021 22:08

.
Naposledy upravil Stanley 900 dne 29 led 2021 20:28, celkově upraveno 1
Uživatelský avatar
Stanley 900
 
Příspěvky: 9021
Registrován: 22 čer 2012 12:49

Re: Na film

Příspěvekod josef38 » 27 led 2021 22:18

Stanislave ADOX CMS 20 II PRO v planfilmech existuje a ne že ne. :-)
Akorát ho nemají momentálně u Škody.

https://www.fotoskoda.cz/adox-cms-20-ii ... -50-listu/
Uživatelský avatar
josef38
 
Příspěvky: 14839
Registrován: 22 pro 2011 08:37

Re: Na film

Příspěvekod Stanley 900 » 27 led 2021 22:50

Ale již není v prodeji :-)

V Berlíně ho mají za 92 Euro, to je 2 500,- takže stovku jeden, to je levnější než Kodak :D
Naposledy upravil Stanley 900 dne 27 led 2021 22:56, celkově upraveno 1
Uživatelský avatar
Stanley 900
 
Příspěvky: 9021
Registrován: 22 čer 2012 12:49

Re: Na film

Příspěvekod josef38 » 27 led 2021 22:54

Chce to hledat, možná by to chtělo kontakt přímo na výrobce.

https://www.fotoimpex.com/films/adox-cm ... heets.html
Uživatelský avatar
josef38
 
Příspěvky: 14839
Registrován: 22 pro 2011 08:37

Re: Na film

Příspěvekod Stanley 900 » 27 led 2021 22:57

To je ten odkaz, co jsem viděl :-)
Uživatelský avatar
Stanley 900
 
Příspěvky: 9021
Registrován: 22 čer 2012 12:49

Re: Na film

Příspěvekod josef38 » 27 led 2021 23:09

Bylo by to asi celkově dost neekonomický, vývojka k tomuto filmu je dost drahá, takže koupat v ní planfilm by asi bylo dost problematické.
Mám dojem, že to byl tenkrát i důvod, proč jsem od jeho shánění ustoupil. Ten kinofilm je ještě přijatelnej.
Do vývojnice by asi byla obrovská spotřeba vývojky. Já planfilmy ovšem vyvolávám v misce a tam by tolik vývojky být nemuselo. Tedy na jeden planfilm.
Uživatelský avatar
josef38
 
Příspěvky: 14839
Registrován: 22 pro 2011 08:37

Re: Na film

Příspěvekod Stanley 900 » 27 led 2021 23:44

Dvoulitrovou mám střední vývojnici Jobo 2520, ale pro rotační postup je to necelý litr, to se ale nedá použít potom běžné plnění,
protože vznikne předěl, kdežto při rotačním se plní v leže přípravkem.
Pak mám na jeden kinofilm 2540 a tu největší JOBO Multi Tank 2550 pro 5 cívek 2502 nastavených na kinofilm, nebo pro 2 cívky Jobo 2509n
pro ploché filmy. Takže 2x 6 planfilmů. Nebo tři cívky 2502 nastavené na svitkový film, celkem 6 filmů.
Cívky 2502 jsou jak pro kinofilm, tak pro svitkové a ty se tam vejdou dva za sebou.
Vývojnice 2520 je na jednu cívku nastavenou na svitkový a nebo na jednu cívku na 6 plochých 9x12cm / 4x5", nebo na dvě cívky s kinofilmem.
Dávám jí plnou, dva litry pro jistotu.
Uživatelský avatar
Stanley 900
 
Příspěvky: 9021
Registrován: 22 čer 2012 12:49

Re: Na film

Příspěvekod josef38 » 28 led 2021 07:05

Vývojka ADOTECH pro film ADOX CMS 20 II PRO se míchá v poměru 1 + 9. V lahvičce je 100 ml koncentrátu, takže bys byl schopen namíchat 1litr vývojky. Údajně se může vyvolat v této lázni pět filmů. Bude tady třeba vývojku po použití nevylévat a používat opakovaně. Ne jako se to provádí s R09. Naředit, použít, vylít.

https://www.befoto.cz/fotokomora/adox-a ... ox-cms-ii/

V té misce to ještě jde. Postačí mi namíchat 50 ml vývojky. Při stálém míchání by stačilo i méně, ale nechci riskovat vyčerpanost vývojky. Po použití vývojku vyleju a potom mám zachovanou opakovatelnost, aniž bych musel přidávat čas na vyvolání. Vyvolal bych takto 20 planfilmů 4" x 5".
Což by mohlo být na vydatnost podobné, jako z jednoho litru těch pěti filmů. ( zřejmě se myslí kinofilm, ale plošně to bude se svitkem shodné )
Výhodou tohoto způsobu ( v misce ) je ta, že mi koncentrát vydrží mnohem déle, než už namíchaná a používaná vývojka. Což u planfilmů je pro mne víc než důležité.
__________________________________________________________________________________
Ještě doplním, myslím si, že oproti ADOXu CHS 100 nebude použití ADOXu CMS 20 II PRO při použití formátu 4" x 5" zas tak velká výhra, protože u té stovky v tomto formátu rozdíl v zrnitosti prakticky nepoznáš. A to rozlišení, o tom mám svůj úsudek.
Pro mne je ovšem ještě použití stovky tou výhodou, že už mám promakaný vyvolávací proces s R09, což je v tomto srovnání takřka za hubičku.
__________________________________________________________________________________
Pro úplnost přidávám ještě elektrárnu s 90 mm objektivem ( ADOX CMS 20 II PRO ) a pro porovnání 4" x 5" ( ADOX CHS 100 ). Chtělo by to pro porovnání stejný obrázek, to ale nemám. Polepším se. :-)
Přílohy
Štěchovice.jpg
Štěchovice.jpg (1.23 MiB) Zobrazeno 4263 krát
Elektrárna_90_mm.jpg
Elektrárna_90_mm.jpg (910.72 KiB) Zobrazeno 4273 krát
Uživatelský avatar
josef38
 
Příspěvky: 14839
Registrován: 22 pro 2011 08:37

Re: Na film

Příspěvekod Stanley 900 » 28 led 2021 11:04

Vypadá to dobře ty fotky :-)
Použil bych Cinestill DF96 Monobath, ale ne na Adox CMS 20 II a Silberra ORTA50.
To jsou jediné dva filmy, které se musí napřed vyzkoušet pro správné vyvolání, protože zrno je malé a jinak se rozpouští,
rychleji a Silbera navíc měl i špatný povlak:
"Silberra na svých internetových stránkách uvádí, že "první povlaky ORTA byly skutečně problematické: emulze se vypouštěla z substrátu, protože citlivost ISO80 dává emulzi nové vlastnosti (např. viskozita je zcela odlišná)."
Jinak Silvermax je přímo podporován v DF96 a CHS 100 II také.
https://cinestillfilm.com/products/df96 ... ng-at-home

Kodak T-Max 100 a Ilford Delta 100 a Fomapan mám vyzkoušené a super.
Ještě je možnost si namíchat Caffenol na Adox. :mrgreen:
Uživatelský avatar
Stanley 900
 
Příspěvky: 9021
Registrován: 22 čer 2012 12:49

Re: Na film

Příspěvekod **lasta » 28 led 2021 19:20

Stanley 900 píše:Koukám na ty rentgeny a opravdu většina veterinárních je na filmové kazety a některé jsou i s přímou digitalizací.
•digitální CCD detektor 43×43 cm 16 MPx, ten by se hodil na velkoformát :D


CCD detektor a rentgenové záření mě neštimuje..
**lasta
 
Příspěvky: 4654
Registrován: 06 pro 2011 08:48

Re: Na film

Příspěvekod Stanley 900 » 28 led 2021 20:09

Přílohy
SEDECAL.jpg
SEDECAL.jpg (367 KiB) Zobrazeno 4226 krát
Uživatelský avatar
Stanley 900
 
Příspěvky: 9021
Registrován: 22 čer 2012 12:49

Re: Na film

Příspěvekod Stanley 900 » 28 led 2021 20:35

.
Naposledy upravil Stanley 900 dne 29 led 2021 20:29, celkově upraveno 1
Uživatelský avatar
Stanley 900
 
Příspěvky: 9021
Registrován: 22 čer 2012 12:49

Re: Na film

Příspěvekod **lasta » 28 led 2021 22:41

Dík za odpověď.
To znamená, že se obraz převede na fotony a pak se nasnímá CCD, pokud by byla výše uvedená fotografie z tohoto zařízení, tak by byla digitální.
(n)

Fotografie je ale z kazety, ale ne filmové.
Jak je to v tomto případě?
Naposledy upravil **lasta dne 29 led 2021 08:21, celkově upraveno 1
**lasta
 
Příspěvky: 4654
Registrován: 06 pro 2011 08:48

Re: Na film

Příspěvekod Stanley 900 » 28 led 2021 23:41

.
Naposledy upravil Stanley 900 dne 29 led 2021 20:27, celkově upraveno 1
Uživatelský avatar
Stanley 900
 
Příspěvky: 9021
Registrován: 22 čer 2012 12:49

Re: Na film

Příspěvekod Stanley 900 » 29 led 2021 00:10

.
Naposledy upravil Stanley 900 dne 29 led 2021 20:26, celkově upraveno 1
Uživatelský avatar
Stanley 900
 
Příspěvky: 9021
Registrován: 22 čer 2012 12:49

Re: Na film

Příspěvekod ODSakEda » 29 led 2021 11:53

josef38 píše:.....
__________________________________________________________________________________
Ještě doplním, myslím si, že oproti ADOXu CHS 100 nebude použití ADOXu CMS 20 II PRO při použití formátu 4" x 5" zas tak velká výhra, protože u té stovky v tomto formátu rozdíl v zrnitosti prakticky nepoznáš. A to rozlišení, o tom mám svůj úsudek.
Pro mne je ovšem ještě použití stovky tou výhodou, že už mám promakaný vyvolávací proces s R09, což je v tomto srovnání takřka za hubičku.
__________________________________________________________________________________
Pro úplnost přidávám ještě elektrárnu s 90 mm objektivem ( ADOX CMS 20 II PRO ) a pro porovnání 4" x 5" ( ADOX CHS 100 ). Chtělo by to pro porovnání stejný obrázek, to ale nemám. Polepším se. :-)

(n) (n)
Uživatelský avatar
ODSakEda
 
Příspěvky: 5601
Registrován: 28 dub 2016 17:45

Re: Na film

Příspěvekod **lasta » 29 led 2021 15:34

Stanley 900 » dnes, 00:10

Nepřímá digitalizace
Počítačová radiografie (Computed Radiography, CR) je postup digitalizace rentgenového obrazu pomocí speciální paměťové fólie na bázi fosforu a čtecího zařízení, které latentní obraz na fólii převede na elektrický signál, z nějž se v počítači složí výsledný obraz.
CR systémy jsou kompatibiliní se stávajícími rentgenovými přístroji, CR kazety mají stejné rozměry jako kazety filmové.


(n)

Takže uvedené foto výše je analog. Další analog systém po Mavica... :D
**lasta
 
Příspěvky: 4654
Registrován: 06 pro 2011 08:48

Re: Na film

Příspěvekod Stanley 900 » 29 led 2021 15:54

.
Naposledy upravil Stanley 900 dne 29 led 2021 20:27, celkově upraveno 1
Uživatelský avatar
Stanley 900
 
Příspěvky: 9021
Registrován: 22 čer 2012 12:49

PředchozíDalší

Zpět na Fotíme černobíle

Kdo je online

Uživatelé procházející toto fórum: Žádní registrovaní uživatelé a 2 návštevníků

cron